ラ コリーナ日誌
秋の風音が聞こえてきませんか
Text : 広報室
- #キャンディーファーム(農藝)
9月に入り、日中はまだまだ暑い事が多いですが、朝夕には涼しい気持ちの良い風が吹くようになりました。夕方にはスズムシの声も聞こえてきます。秋がすぐそこまで来ているようです。そんな中、私がラ コリーナで見つけた秋の様子を少しご紹介します。
ラ コリーナの入り口付近には背の高いススキやオミナエシ。
回廊の近くには白いソバの花。咲いている様子が愛らしいです。
フードコートにあるカキの木には実がなり、ほんのりと色づいています。
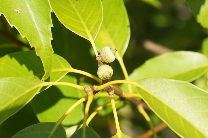
ドングリの木にも小さな可愛らしい帽子をかぶったドングリの赤ちゃん。もう少し経つと、大きく茶色に色づいてあちこちに転がっている様子が想像できますね。
たねや農藝ではクリのイガも大きくなり、ブドウの実も色付いてきました。
収穫の時期を間近に控えた、黄金色の稲穂が稔った田んぼ。稲刈りには従業員をはじめ地元の大学生も参加します。
ラ コリーナメインショップでもディスプレイを夏から秋の装いへ。栗やさつまいもを使ったお菓子が並びます。
できたて工房では、9月から秋の味覚のひとつ、栗を使った「どらソフト 栗」が今年も始まりました。たねや自慢のあんこと冷たいソフトクリーム、豊かな栗の味わいが感じられます。
五感で季節が移ろいゆく様子を感じられるラ コリーナ。みなさんも秋を見つけにぜひお越しくださいね。
ラ コリーナの入り口付近には背の高いススキやオミナエシ。
回廊の近くには白いソバの花。咲いている様子が愛らしいです。
フードコートにあるカキの木には実がなり、ほんのりと色づいています。
ドングリの木にも小さな可愛らしい帽子をかぶったドングリの赤ちゃん。もう少し経つと、大きく茶色に色づいてあちこちに転がっている様子が想像できますね。
たねや農藝ではクリのイガも大きくなり、ブドウの実も色付いてきました。
収穫の時期を間近に控えた、黄金色の稲穂が稔った田んぼ。稲刈りには従業員をはじめ地元の大学生も参加します。
ラ コリーナメインショップでもディスプレイを夏から秋の装いへ。栗やさつまいもを使ったお菓子が並びます。
できたて工房では、9月から秋の味覚のひとつ、栗を使った「どらソフト 栗」が今年も始まりました。たねや自慢のあんこと冷たいソフトクリーム、豊かな栗の味わいが感じられます。
五感で季節が移ろいゆく様子を感じられるラ コリーナ。みなさんも秋を見つけにぜひお越しくださいね。